Denuncian plaga de mosquitos, moscas y ratas en Los Mina

moscas los mina

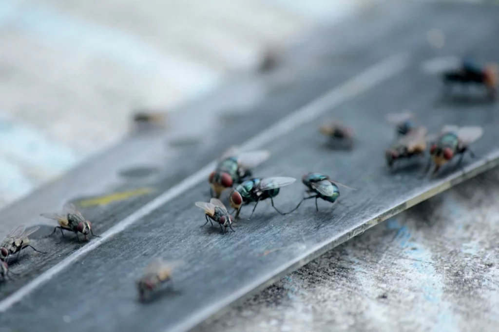
Santo Domingo.- Moradores de la calle Doctor Antonio María Pineda, en el populoso sector de Los Mina, denunciaron la presencia de una alarmante plaga de mosquitos, moscas y ratas que afecta seriamente su salud y calidad de vida.

Según relataron varios residentes, la situación se ha vuelto insostenible debido a la acumulación de basura y la falta de operativos de fumigación por parte de las autoridades competentes.

“Hacemos un llamado urgente al Ministerio de Salud Pública para que venga en nuestro auxilio. No aguantamos más los mosquitos y las ratas que andan por todas partes, incluso dentro de las casas”, expresó Roberto, uno de los afectados.

Los comunitarios advirtieron que temen la propagación de enfermedades como el dengue, la leptospirosis y otras afecciones, especialmente entre niños y envejecientes, quienes son los más vulnerables ante esta problemática.

Ante este panorama, solicitan la intervención inmediata de las autoridades sanitarias para la ejecución de operativos de limpieza, desratización y fumigación, a fin de devolverle la tranquilidad a esta zona de Santo Domingo Este.

Etiquetas

Los MinaMosquitos

Sobre el autor

Pavel Arias